register | confirm account | forgot password
Jason Thomas BCom
Royal Lepage Summit Realty
2611 Ellwood Dr S.W., Edmonton, Alberta
P: 780.499.5696
F: 780.431.1600
Email

Edmonton Homes For Sale

For more information on this Edmonton area home for sale or any other please contact me.

Courtesy of The E Group Real Estate.
Data was last updated 2025-06-25 at 20:18:11 GMT
$299,999

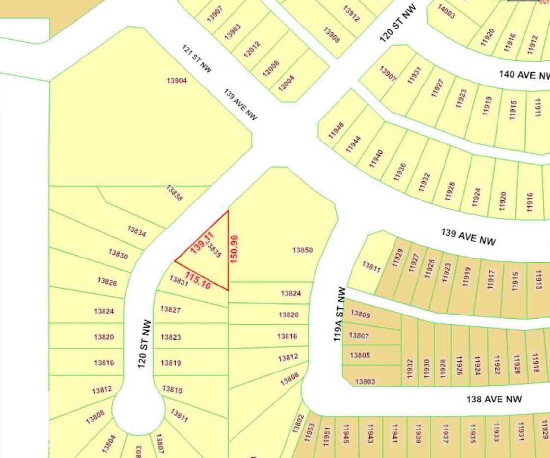
13835 120 Street   Edmonton, Alberta

MLS®: E4477907
URL:    
Rare infill opportunity in Carlisle! This oversized 7,600 sq. ft. (706.15 SqM) pie-shaped lot sits in a quiet cul-de-sac within a mature, family-friendly community?an ideal setting for redevelopment. Generous lot size and unique shape offer flexibility for new build potential. Surrounded by established homes, top schools, beautiful parks (Carlisle Park), and major shopping (The Home Depot, Walmart, Superstore, Lucky Supermarket, Best Buy), cafes, restaurants, movie theater, with transit within walking distance. Quick connectivity to the Anthony Henday, and downtown Edmonton terrific long-term value. Prime land in a proven location. Zoning: 2.10 RS - Small Scale Residential Zone. The Property is being sold as is, where is.
Rare infill opportunity in Carlisle! This oversized 7,600 sq. ft. (706.15 SqM) pie-shaped lot sits in a quiet cul-de-sac within a mature, family-friendly community?an ideal setting for redevelopment. Generous lot size and unique shape offer flexibility for new build potential. Surrounded by established homes, top schools, beautiful parks (Carlisle Park), and major shopping (The Home Depot, Walmart, Superstore, Lucky Supermarket, Best Buy), cafes, restaurants, movie theater, with transit within walking distance. Quick connectivity to the Anthony Henday, and downtown Edmonton terrific long-term value. Prime land in a proven location. Zoning: 2.10 RS - Small Scale Residential Zone. The Property is being sold as is, where is.

Listing Information

Prop. Type:
Detached Single Family
Property Style:
2 Storey
Status:
Active
City:
Edmonton
MLS® Number:
E4477907
Bedrooms:
1
Neighbourhood:
Carlisle
Area:
Edmonton
Province:
Alberta
Listing Price:
$299,999

General Information

Year Built:
1987
Total Square Feet:
1460ft2

Additional Information

Basement Dev:
See Remarks
Parking:
See Remarks

VIP-Only Information

Sign-Up or Log-in to view full listing details:
Sign-Up / Log In
This property is listed by The E Group Real Estate and provided here courtesy of Jason Thomas BCom. For more information or to schedule a viewing please contact Jason Thomas BCom.
Jason Thomas BCom
Royal Lepage Summit Realty
Phone: 780.499.5696
Inquire Via Email
Data is deemed reliable but is not guaranteed accurate by the REALTORS® Association of Edmonton.
Home Evaluation Button
Button advertising your home evaluation feature
Home Evaluation
MLS® Search Button
Button advertising your MLS® Search page
Map-based MLS® Search
Photo and business card details widget
Jason Thomas BCom
Agent Photo
TelephoneOffice Phone:
780.499.5696
TelephoneFax:
780.431.1600
Email MeEmail:
Data last Updated: 2025-06-25 at 20:18:11 GMT America/Edmonton
This site's content is the responsibility of Jason Thomas BCom, licensed REALTOR® in the Province of Alberta.
The trademarks REALTOR®, REALTORS®, and the REALTOR® logo are controlled by The Canadian Real Estate Association (CREA) and identify real estate professionals who are members of CREA. Used under license.
The trademarks MLS®, Multiple Listing Service®, and the associated logos are owned by The Canadian Real Estate Association (CREA) and identify the quality of services provided by real estate professionals who are members of CREA. Used under license.

© 2026, All Rights Reserved | Privacy Policy | Mobile Site | REALTOR® Websites by RealPageMaker